
Beetle Juice
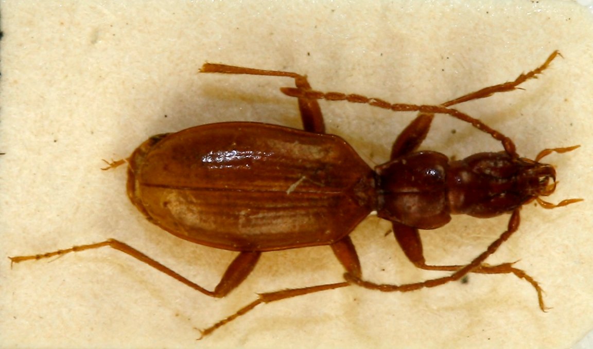
Fascists are so hungry for Nazi memorabilia that they’ve been buying up Anophthalmus hitleri beetles for years — so much so that the poor bug is near extinction.
As the Washington Post reports, the neo-Nazi trade of A. hitleri beetles is yet another reason some scientists are pushing for the rare beetle, which is only found in caves in Slovenia, to be renamed.
The debate surrounding a push to rename A. hitleri — because, you know, it was named after one of the worst people imaginable — seems to have brought the beetle’s plight back into the news, but reports about fascist collectors pushing the beetle near the brink of extinction go back nearly 20 years.
In 2006, The Independent reported that extremists were actually schlepping out to the 15-odd Slovenian caves where the “Hitler beetle” is found to grab them, with well-preserved specimens going for the equivalent of about $1,400 each at the time.
“There is a complete run on these creatures,” beetle expert Martin Baehr told the British newspaper, “and collectors are intruding on the beetles’ natural habitat to get hold of them.”
Baehr’s then-employer, the Bavarian State Collection of Zoology, saw almost all of its A. hitleri specimens stolen, the Indy noted. Whether the thieves were neo-Nazis themselves or brokers who wanted to cash in on the lucrative Nazi memorabilia market is anyone’s guess — but they sound terrible regardless.
Bugging Out
More recently, Canadian anthropologist Mirjana Roksandic argued in The Economist that the blind beetle doesn’t deserve to be saddled with its Hitlerian baggage.
“It’s an innocent insect,” Roksandic, who works at the University of Winnipeg, told the magazine in September 2022. “Why not end this illegal trade by changing its name?”
As Yahoo News Australia noted in yet another article about the poor Hitler beetle from 2021, A. hitleri‘s name also calls into question the celebrity-naming convention, in which scientists name new species after famous people in hopes that it’ll get picked up by the media.
“Taxonomy needs to be in the news,” Aussie taxonomist Kevin Thiele told Yahoo, “as by documenting the species we are hopefully doing the foundational work that will prevent a species going extinct.”
“But will anyone know who Beyonce is in a few hundred years?” the taxonomist wondered.
To be clear, Queen Bey and Hitler have nothing in common besides having had bugs named for them — but it does stand to reason that the entire convention may be fraught.
More on bugs: Terrifying Parasite Can Actually Triple an Ant’s Lifespan